接收GEO卫星GK-2A笔记
简介:地球静止轨道GEO(GEO: Geostationary Orbit),与太阳同步轨道SSO(Sun-synchronous Orbit)NOAA系列不同,同步轨道卫星的信号很弱,需要添加LNA来放大信号。
注意:NOAA系列并不是极地轨道(Polar Orbit)卫星
定位网址:www.dishpointer.com
卫星信息:
satdump的satellite-List:https://www.satdump.org/Satellite-List
OSCAR卫星列表:https://space.oscar.wmo.int/satellites
参考教程:
天线搭建教程:https://www.bilibili.com/video/BV1wV4y1e7mi
接收图像参考:https://www.bilibili.com/video/BV1f8411q7Pg
接收GK-2A
简介:接收卫星就和连上WIFI差不多,但是你需要知道这个卫星的转发器,发送的格式和内容,并且用相应的解码器解码。同步轨道是比较好接收的,因为它24小时都固定在同一个位置,不像太阳同步轨道卫星会围绕地球旋转。
查看GK-2A(GEO-KOMPSAT-2A)信息
简介:在satdump和oscar上都可以看到查找GK-2A卫星的信息,我们主要在这两个网站中获取卫星的频率和发送模式:
satdump进入satelite-list查看:
点击链接进入satdump的satlite-list列表:

在satlite-list中查找GK-2A:

我们发现GK-2A支持LRPT,HRPT和CDAS,这次我们要接收LRPT,所以我们查看LRPT的状态(Status)。这里显示状态是活跃的(Active),表明我们可以收到信号。同时记录LRPT的频率:1692.14MHz
oscar链接:https://space.oscar.wmo.int/satellites
这里后点击filter table,然后点击GEO即可:

定位GK-2A卫星
在地图上查找卫星:www.dishpointer.com
视频教程:https://www.bilibili.com/video/BV1wV4y1e7mi
简介:进入网址后找到GK-2A,location输入你所在的城市中文名称即可。
查找完成后会显示如下图片:

记录卫星的仰角和方位角
由于同步卫星位置不变,所以可以根据得到的角度来调整天线对准卫星。
安装Zadig驱动
链接:https://zadig.akeo.ie/downloads/
简介:直接下载最新的zadig-2.5版本,插入sdr后选择sdr运行即可。为了防止安装错误导致USB驱动失效,建议百度如何安装zadig

下载satdump并安装GK-2A卫星解码
下载satdump:https://www.satdump.org/download/
简介:下载好satdump后进入软件resources新建GEO卫星文件夹,将解码软件放入即可。我这里使用1.1.2版本。

架设接收设备
简介:这里LNA放大器和滤波器可以买2合1的,也可以分开买。带通滤波后连接天线。转接头不需要买软质的线,会损失一定的信号,直接买硬质的转接头即可:

接收过程中需要竖向架设天线:

注意:如果是SAWBird+GOES,相当于一个带通滤波+LNA,但是还是要加添加一个LNA放大器,不然信号接收很差,信噪比只有7-9左右,使用satdump接收会产生少量裂开的图像:

注意:由于SAWBird+GOES的设计问题,使用过程会在output端输出直流,需要在output端加上隔直器来防止SDR被烧坏。
详细内容可在官网找到:https://www.nooelec.com/store/sdr/sdr-addons/sawbird/sawbird-plus-goes-302.html

这里的DC block就是隔直器。不添加隔直器会出现信号波动问题,详细情况可看接收 FENGYUN-4A -> 信号波动问题篇。
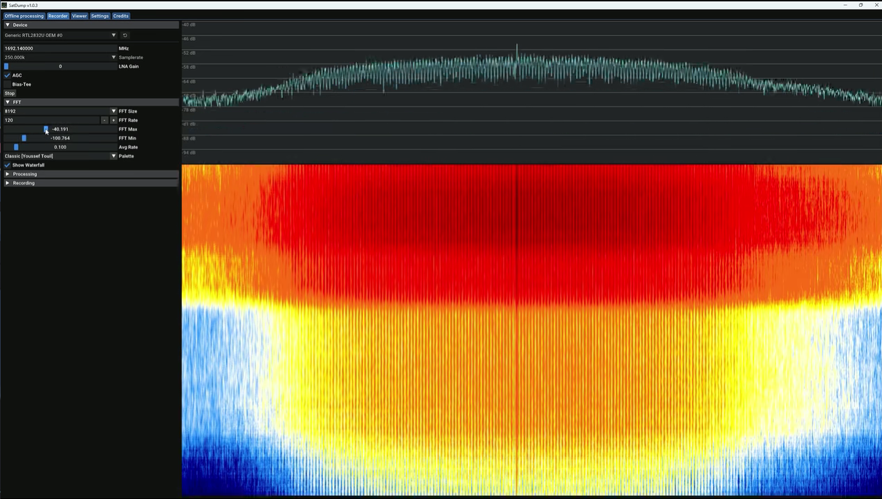
设置satdump
简介:双击运行即可。选择Recorder,频率调整至1692.14Mhz,带宽调整为250kbps。不要勾选AGC,会影响锁相环,直接把LNA Gain调到最大,点击start,此时信号太弱不能出现频谱:

调整FFT Min至频谱出现:

在Processing中搜索GK-2A LRIT,点击start:

在每个小时的0,10,20,30,40,50分钟时,频谱会发生变化,此时说明卫星正在传输图像。
接收到的图片会自动保存在bin/live_output文件夹中:

转化图片
简介:接收到的图像是黑白的,可以通过脚本进行转化,转化脚本为sanchez,操作方式按照wiki描述的操作即可。
sanchez链接:https://github.com/nullpainter/sanchez
下载
简介:考虑到很多HAM可能第一次使用github,不懂如何操作,这里介绍一下如何下载吧。
进入上述链接后点击Releases内的版本号:

下载windows版本即可:

下载好后解压文件,即可进入转换步骤。
转换
简介:在sanchez项目内使用CMD或powershell中输入如下命令
转换图片命令:
# 单张
Sanchez -s "要转化的图片路径" -o "Output.png"
# 例如
Sanchez -s "c:\images\Himawari8\**\Himawari8_FD_VS_20200727T005100Z.jpg" -o "Output.jpg"
# 多张
./Sanchez -s "要转化的图片文件夹路径" -o Output
# 例如
./Sanchez -s "c:\images\Himawari8" -o Output
注意:如果你的图片转换没有写入..\Resources\Satellites.json,你需要在.json文件中添加这颗卫星,并且手动对准地球影像。没有对准时会出现白边,添加时请使用编辑器来注意.json格式。